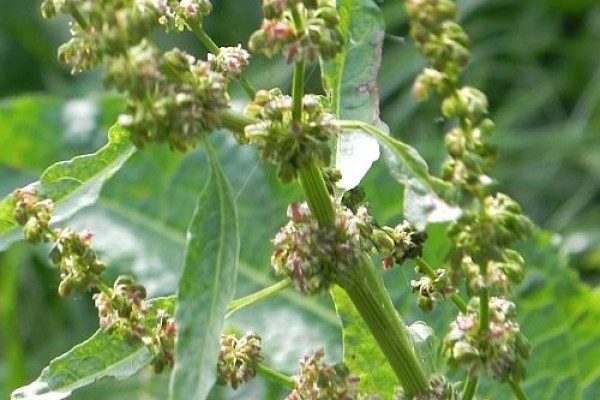
topolistna kislica
-
Latinsko ime
Rumex obtusifolius L. [s. l.]
-
Pogostost
pogosto
-
Letni časi
jesen, poletje
-
Oblike
zel
-
Barve
zelena ali neizrazito obarvano
-
Območja
Grajski grič
-
Habitat
travnik
-
Opis
Topolistna kislica je pogosta vrsta na gojenih travnikih, a tudi po ruderalnih mestih. Listi so široko podolgasti, s srčastim dnom in zaokroženim vrhom. Cvetovi so drobni v gostem razvejanem socvetju, notranji cvetni listi pa na zrelem cvetu s koničastimi zobci in žuljem.